Der globalen Erwärmung sei Dank: Es gab vor 200 Jahren mehr schwere Zyklone in Fidschi, als es viel kälter war als heute
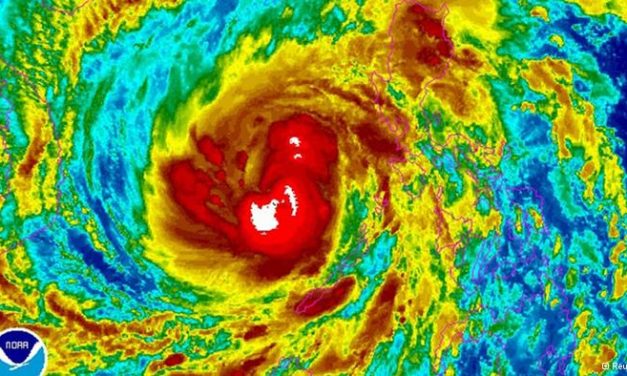
Jo Nova Die schlimmsten 53 Wirbelstürme, die Fidschi in den letzten 2000 Jahren heimgesucht haben,...
Weiterlesen
Seite auswählen
Gepostet von Chris Frey | Aug. 01, 2025 | Klima | 13 |
Jo Nova Die schlimmsten 53 Wirbelstürme, die Fidschi in den letzten 2000 Jahren heimgesucht haben,...
WeiterlesenGepostet von Andreas Demmig | Aug. 01, 2025 | Klima | 25 |
Audrey Streb, DCNF-Energiereporterin, 29. Juli 2025
EPA-Leiter Lee Zeldin gab am Dienstag bekannt, dass die Behörde eine Regelung zur Rücknahme der Regelung aus der Obama-Ära vorgeschlagen habe. Die Trump-Regierung und Branchenexperten argumentieren, dass diese auf schwachen wissenschaftlichen Erkenntnissen basiere und dazu genutzt worden sei, Kraftwerken und Fahrzeugen im Namen des Klimawandels strenge Vorschriften aufzuerlegen.
WeiterlesenGepostet von Andreas Demmig | Aug. 01, 2025 | Energie | 0 |
Audrey Streb, DCNF Energiereporterin, 25. Juli 2025 Die republikanische Abgeordnete des...
WeiterlesenGepostet von Andreas Demmig | Aug. 01, 2025 | Energie | 12 |
Utility Dive, Robert Walton, Leitender Reporter, 25. Juli 2025
Die US-Atomaufsichtsbehörde (Atom Regulatory Commission) hat am Donnerstag mehrere Lizenzen und behördliche Genehmigungen erteilt, die für die Wiederaufnahme des Betriebs des 800-MW-Kernkraftwerks Palisades in Michigan im Laufe dieses Jahres erforderlich sind.
WeiterlesenGepostet von Andreas Demmig | Aug. 01, 2025 | Energie | 29 |
Essay von Eric Worrall
„… gewährleistet eine unterbrechungsfreie und bezahlbare Stromversorgung …“ – mit erneuerbaren Energien einfach nicht möglich.
Neueste Kommentare